
Gobierno prohibe venta de bebidas alcohólicas en provincias más afectadas por Fiona
- Rey Duràn
- septiembre 19, 2022
- Nacionales, Uncategorized
- Nuevo
- 0 Comments
Desde este lunes y hasta el próximo lunes estará prohibida la venta de 6:00 p.m. a 8:00 a.m. del día siguiente. Medida no aplica para hoteles todo incluido.
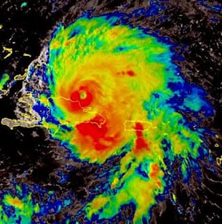
SANTO DOMINGO. – Ante los daños ocasionados por el paso en el país del huracán Fiona, los ministerios de Interior y Policía y Salud Pública emitieron una resolución conjunta mediante la cual reducen hasta las 6:00 de la tarde el horario para el expendio de bebidas alcohólicas en siete de las provincias más afectadas, desde este lunes hasta el próximo lunes 26 de este mismo mes.
A partir de la entrada en vigor de la Resolución 001-MIP-MISPAS-SEPTIEMBRE 2022, las autoridades prohíben desde la noche de este lunes el consumo y venta de bebidas alcohólicas en todos los establecimientos comerciales, exceptuando los hoteles con todo incluido, durante el período señalado en las provincias La Altagracia, La Romana, El Seibo, Hato Mayor, Monte Plata, Samaná, y María Trinidad Sánchez.
Por tanto, en los establecimientos comerciales la venta y consumo de bebidas alcohólicas iniciará a las 8:00 de la mañana y culminará a las 6:00 de la tarde.
Los ministros Jesús Vásquez Martínez, de Interior y Policía, y Daniel Rivera, de Salud Pública, advierten mediante la misma resolución que la violación a la disposición podría dar lugar al cierre temporal o definitivo del establecimiento que incurra en dicha violación, así como a la cancelación de las licencias o permisos correspondientes, sin perjuicio de cualquier otra sanción establecida en las leyes o reglamentos.
Las autoridades a través de sus organismos, incluyendo la Dirección Nacional de Control de Expendio de Bebidas Alcohólicas (COBA), aseguran que estarán vigilantes para el fiel cumplimiento de la citada resolución y promoverán las acciones que sean pertinentes a tales fines, de conformidad con las leyes.
– ndigital
En reyduran.com, algunas imágenes utilizadas en nuestras publicaciones provienen de fuentes externas, agencias informativas y bancos de imágenes. Todas las imágenes se emplean exclusivamente con fines periodísticos, informativos y educativos. Cada imagen incluye su respectivo crédito o referencia a la fuente original. No comercializamos, revendemos ni utilizamos las imágenes con fines promocionales o publicitarios.
Si usted es titular de derechos sobre alguna imagen publicada y considera que su uso no es adecuado, puede contactarnos a info@reyduran.com para solicitar su modificación o retiro inmediato.






Leave A Comment